![]()
图片来源@视觉中国
杭州女网红小冉(化名)5月2日到杭州华颜医疗美容医院做抽脂填充手术,两个多月后因全身感染造成多器官衰竭,于7月13日抢救无效死亡。
7月15日午间,杭州市卫健委发布通报表示,经市医学会组织专家评估,这是一起医疗事故,华颜医疗美容医院存在术前缺乏认识、术中操作不当、术后观察处理不及时等过错,与患者死亡存在因果关系,承担全部责任,并已作出赔偿。同时,西湖区卫健局对涉事医院做出警告和罚款的处罚,责成其停业整改,对负有责任的医务人员将做出进一步处理。![]()
抽脂感染,自己拨打120,2月ICU去世
7月13日,有网友发文爆料称,其是“网红”小冉(化名)的好友,小冉在杭州华颜医疗美容医院(以下简称“华颜美容医院”)做完抽脂手术后多器官衰竭,在ICU治疗两个月后,于7月13日死亡。该网友称,手术后,小冉多次表示身体不适,但都未引起华颜美容医院的重视。
据了解,死者小冉(化名)是一名“网红”,创立有个人品牌JULIA&JULIE,在多个平台上积累了一定的粉丝,也是一个纯正的白富美。
小冉的朋友爆料,手术前一天,小冉曾说过“要去做一个小手术,可能没办法及时回复手机消息”。该朋友称,她并不清楚小冉具体要做的手术项目。![]()
直到两天后的5月4日上午6点34分,她才接到“杭州绿城心血管病医院”ICU医生打来的电话,通知小冉已多器官衰竭,请家属尽快赶往医院。当她们焦急地赶到绿城医院的时候,ICU的医生告知,小冉的情况很不乐观,随时都有生命危险,为什么那么晚才送来,已经错过了最佳治疗时间。![]()
病历显示,小冉做了“腰腹吸脂修复术、上臂吸脂术和自体脂肪二次填充乳房术,手术时长达5个 小时。![]()
![]()
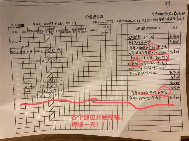
据公布的华颜美容医院手术期间的护理记录单显示,小冉在整形医院手术期间的护理记录单才得知,小冉的术前麻醉时间为5月2日中午12点50分,手术开始于下午1点05分,结束于下午5点40分;5月2日手术后至5月4日凌晨5点,小冉多次表示自己身体各处出现疼痛,并伴有胸闷、气短和心悸等症状;5月4日,小冉转上级医院进一步治疗。
小冉的朋友称,在华颜美容医院住院期间,小冉多次表达身体不适,但未引起院方的重视;包括最后转院,也是因为疼痛难忍,小冉自行拨打的120请求转院。
5月4日早上,小冉的家属及朋友接到浙江绿城心血管病医院ICU的通知,小冉出现多器官衰竭的症状,情况十分危急。小冉的朋友称,在绿城心血管病医院,他们碰见了华颜美容医院的一位女工作人员,“她当时只是轻描淡写地说,小冉身上长水泡了。”![]()
据介绍,5月5日为寻求更好的治疗,小冉转入浙江大学医学院附属第二医院(以下简称“浙二医院”)。在转院的过程中,家人第一次见到术后的小冉,她多器官衰竭,身体浮肿,前胸到腹部皮肤大面积溃烂。
据媒体报道,浙二医院曾两次为小冉进行全身杀菌手术,在经过2个多月的治疗后,7月13日,小冉因再生细菌感染在ICU病房去世,年仅33岁。
小冉的朋友表示,事发后,家属与涉事美容医院至少沟通了3、4次。据其介绍,小冉在浙二医院ICU治疗期间的费用由华颜美容医院支付,此前,华颜美容医院拖欠了6月份的治疗费,经沟通已经缴清,目前正在协商赔款问题,小冉家属计划索赔500万元。
家属对涉事医院的九大疑问
据封面新闻报道,小冉的家属对医院的判断和处理有九个疑问。
一、误诊问题:小冉应该是急性坏死性筋膜炎或者手术感染至休克,术后出现疼痛,医生只是当做正常的术后反应,常规的给与止痛,对症治疗,没有及时的向上级医生汇报和及时的处理,耽误了病情,加之小冉术后未能及时活动,引流不畅,渗出液堆积在皮下造成感染,最后导致感染性休克发生,致多脏器功能衰竭,如果当时及时的清创和处理(最佳时间应该是5月3日),小冉不会有生命危险。
二、没有及时检查:发现问题后没有及时的复查血分析、电解质、生化等检查,导致误判病情。
三、术后医嘱医生不是手术医生本人,对患者病情不了解,原则上是不允许的,医生未能意识到感染发生,一直给与止疼镇静处理,掩盖病情。
四、手术时间是否过长?12:40---17:40,吸脂2000ml,纯脂肪1500ml,手术时间5小时太长造成了术中感染。
五、术后没有及时的记录病情变化,医疗文书书写有问题。
六、该医院的环境和器械,是否有医源性感染的问题?手术室无菌环境是否达标?手术器械是否符合灭菌要求?消毒铺单是否过关?术后换药间是否达到院感要求?医生的无菌操作是否过关?
七、术区大片瘀斑,术中创伤面积大,医生操作不当,提示吸脂层次过浅,操作粗暴。
八、未见医疗器械、敷料消毒合格监测标示卡。
九、手术护理记录单标用了电刀,但无贴电极板的位置,护理记录单中5月2-4号患者几次诉疼痛,均只给予止痛处理,未见任何辅助检查及处置。
天眼查显示,杭州华颜医疗美容医院成立于2018年6月,注册资本为1000万人民币,目前该公司由杭州悦颜医疗科技有限公司和杭州俪颜医疗科技有限公司共同持股,经营范围为医疗美容科,美容外科,美容皮肤科,美容牙科,美容中医科/麻醉科医学检验科(临床化学检验专业、临床免疫、血清专业),内科、临床体液、血液专业等。近两年,这家医疗美容医院曾受辖区卫健局、市场监管局和公安局的4次行政处罚。![]()
抽脂风险有多高?
随着“颜值经济”的蓬勃发展、生活和审美观念的精细化转变以及医美科技的迭代,人们对于医美需求正从脸部向身体延展,身体塑形项目成为新的增长点。
据德勤发布《中国身体塑形市场行业发展白皮书2021》显示,美国是全球最大的塑形市场,占据了全球塑形手术量近20%的份额。中国医美塑形行业起步较晚,也正以超过20% 的速度增长,并预计2030年达到千亿规 模,成为医美行业全新的增长驱动力。
据资料显示,中国塑形市场目前主要有三大类技术流派,分别为非侵入式医美塑形、侵入式医美塑形以及生活美容塑形。
具体而言,非侵入式医美塑形主要利用冷冻、超声、射频等光电技术手段,通过作用于体外达到减脂效果,所使用的设备极为重要;侵入式医美塑形指传统的吸脂、环吸手术,腹壁成形术等侵入式手术减脂手段,通常效果较为明显,但安全性与副作用相对较高;生活美容塑形指在中医理论基础上,通过针灸及按摩等手段辅助减脂
复旦大学附属华东医院重症医学科副主任医师吴志雄关注到一个细节:5月2日晚上术后至5月4日凌晨5点,小冉一直在喊痛,满篇“疼痛”的描述。而“涉事整形医院”在小冉表达痛苦的时候,只是简单用药,以为是普通抽脂手术的疼痛,但一直没有得到缓解。
吴志雄称,抽脂部位如果出现持续的红肿热痛,需要警惕皮肤及软组织感染的可能,临床需要通过查体及辅助检查鉴别诊断,及时抗感染治疗,必要时清创治疗。如果发展成坏死性筋膜炎,患者术后3天可能发热,皮肤出现血性大疱,然后可能会出现大片坏死、恶臭,随着坏死组织迅速扩散,可发生败血症或脓毒血症,甚至死亡。
“坏死性筋膜炎是非常严重的感染,由于抽脂是侵入性操作,因此一定要在医院的无菌手术室进行。”吴志雄说。
武汉大学中南医院整形美容科主任郭亮博士介绍,吸脂手术就是通过一根长约50厘米的金属空心管,经皮肤插入到脂肪层,管子后方连接带有负压的机器,将脂肪少量多次吸出体外。虽然该手术目前相对来说比较成熟,但也有一定的风险性。抽脂手术最危险的并发症就是脂肪栓塞。脂肪血栓就是大量脂肪进入血管,进入人体血液循环,于是堵塞肺动脉,引起肺堵塞,从而导致呼吸困难、衰竭和死亡的情况的发生。
“抽脂减肥塑形,效果立杆见影,因此受到众多爱美人士的青睐。”不过,郭亮博士提醒,术前一定要做全面的身体检查和评估,抽脂面积不能太大,量不能太多。此外,术后的观察和护理,也是十分的重要,这方面公立三甲医院,有各种专科强有力的支持,医疗技术方面就更有保障。
“不管是大医院还是小医院,抽脂手术都会存在风险。”郭亮博士强调,抽脂虽然是常见手术,但仍有风险,也不能随便去做,听从专业医生的建议,选择上一定要谨慎。
上海市第十人民医院整形外科副主任医师刘广鹏称,首先,就医疗手术分级来讲,吸脂手术是一个相对比较小的手术。但要提醒的是,包括抽脂在内的整形美容手术,其实都有较大风险,不是很多人简单理解的“小手术”。抽脂手术容易出现的风险,包括麻醉相关药物引起的呼吸抑制、手术期间的恶性心律失常、脂肪栓塞、出血等。即使手术成功之后,还要经历几道关,其中第一道关就是术后感染。
(钛媒体APP编辑郭虹妘综合自健康杭州、每日经济新闻、封面新闻等)







快报
根据《网络安全法》实名制要求,请绑定手机号后发表评论